第07章 北野政次的罪迹(第2/4页)
周先生说:“这个地下室是北野饲养实验动物的地方。在这里专门饲养‘满洲’产的灰田鼠。地下室的温度保持在适宜灰田鼠生存的15℃左右。北野发现,使小动物在黑暗恒温的地下室里处于半冬眠状态后,注射斑疹伤寒菌,就能很快地发病。北野巧妙地利用小动物的生理周期来生产斑疹伤寒疫苗。

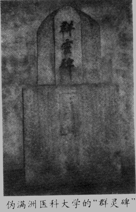
根据周先生的介绍,我们才弄清楚平房地下室的真正用途。当时估计为”弹子仓库“的地下室,其实是饲养实验用小动物的饲养室。

周先生还说:“北野给13名中国人注射了大概是在这地下室里培养的斑疹伤寒菌,并且进行了人体实验,残杀了5个人。北野在自己的论文里还介绍了这一实验。把活人当做实验品,良心却不受任何谴责的北野,竟然会为供实验用的灰田鼠立碑。”
听了周先生的讲解,我联想起德川纲吉的“生灵怜悯令”。没有子嗣的纲吉,从生母桂昌院所崇信的隆光那里得知“没有儿子是前世杀生太多的报应”的说法。他为了消除自己业障而发布了世界上最可恶而愚蠢的法令——“生灵怜悯令”。为了慰藉实验动物灵魂建立“群灵碑”,这种想法与动物的生命优于人类的观点是相同的。他们两人的罪孽不同:纲吉是出于迷信,而北野则是在探索医学的过程中践踏了医学者所应有的理念。
群灵碑鲜明地象征着731部队医学者的本质。与其说他们是医术优先于医道,莫如说他们为了探求(医)道而丧失了(人)道。
伪满洲医科大学是以中国人为实验材料,为研究军事医学而设立的“医学机构”。也就是说,他们从一开始就没有把中国人当做人来看待。大日本帝国和大和民族凌驾于世界和人类之上的傲气,促使他们把中国人作为绝好的实验材料,将医术和医道本末倒置了。
731部队在“为了探求真理”的名义上,又加上了“为了国家”的大义。也就是说,实施了“双重的正当化”。
周先生向我提供了中国方面关于北野政次1939年写的以《斑疹伤寒预防接种的研究——自制斑疹伤寒疫苗的人体实验》为题的研究论文。北野的这篇论文是使用了13名健康的中国人作为实验材料而写出的。以下是论文中关于人体实验部分的摘要。
自制的人体实验
这个材料是我们在清理阶级队伍,彻底调查日本侵略军和国民党的有关资料时发现的。伪满洲医科大学微生物教研室有个叫北野政次的主任教授。他是在美国的保护下至今未受任何制栽而逍遥法外的细菌战犯。他于1939年2月发表了以《斑疹伤寒预防接种的研究——自制斑疹伤寒疫苗的人体实验》为题的论文。这是用我国爱国同胞来进行的细菌人体实验。
在这篇论文中,北野政次不打自招地供认了亲手杀害我爱国同胞的极其残忍的罪行。他在这篇“论文”中这样写道:“实验使用的人体都是从未患过斑疹伤寒和急性肠伤寒的人中选出的32岁到74岁的健康男子。除1名商人和1名工人外,其余都是五年前至三十年前期间由山东来到关外(山海关以东)的农民。”
当时这项实验是利用他逮捕的13名中国人的身体来进行的。实验时74岁的宋XX被惨无人道地注射了斑疹伤寒病毒。宋在8天后发病,病后第6天正值发疹期,北野政次亲自对他进行了活体解剖。病理检验的结果证明是斑疹伤寒。
另一个中国人费XX,66岁,北野政次给他注射病毒后发病。由于他身体强壮,熬住了斑疹伤寒菌的侵袭。他发病后的第7天,体温降到正常(37度左右)状态。当天,北野政次亲手将他杀死。其他11名同胞也被分别注射了不同数量不同次数的斑疹伤寒菌。一个月后,北野政次再一次给他们注射病原体——斑疹伤寒立克次氏体。
几天后,其中5人先后发病。北野为了确认这5名中国人是否染上斑疹伤寒,从中提出一人,以抽查为名,活着进行解剖。北野通过利用中国人进行的活体实验,得出了如下结论:体内注入2毫升的自制疫苗,一个月便能够产生免疫体。
北野政次的目的是什么呢?他在论文中这样写道:“军队或其他集团军要进入这种疾病(伤寒)流行的地区时,提前一个月注射伤寒免疫疫苗效果良好。”
这一语道破了他是为日本帝国主义的侵略战争和细菌战争服务的目的。
关于这篇论文的内容及其下落,在本多胜一先生写的《中国之旅》(朝日新闻社出版)一书中已有记载,在此不再赘述。
铁丝接骨
在另一张桌子上放着一具骨骼标本。标本像枯树枝一样,“枝”的中间被折断,用铁丝缠上。
周先生提供的中国方面的调查报告,对这具骨骼做了如下的记载:
这具骨骼标本,是伪满洲医科大学遗留下来的。其中两条左右股骨长短不齐,右股骨比左股骨短3公分。右股骨中间的部位用铁丝缠着。由于形成结痂,铁丝巳深陷入骨中,至少已有一年多了。铁丝是用钳子固定住的。被剪断的铁丝端部十分锋利,无时无刻不在刺激着腿部肌肉和神经,其痛苦是可想而知的。骨骼的前后两面均有小孔的痕迹,这是急性骨髓炎转化为慢性骨髓炎之后,从这些化脓的地方整年不断地流脓汁造成的。那么,这具骨骼究竟是什么人的呢?我们查阅了尸体记录,结果得知他是同胞佟报功的骨骼。他被日本军国主义残酷地杀害时,年仅27岁。他的遗体是从小南门监狱送到伪满洲医科大学解剖教研室的。遗体记录卡上写着他患有严重的肺结核。骨骼为何成为这种状态呢?
我们根据遗体记录卡的记载,查明他的原籍是距沈阳市25里郊区的双树子村,现沈阳市东陵区深井子人民公社双树子第六生产队。
我们在当地访问了老贫农,找到了佟报功的妻子吴淑珍,她已57岁了。她流着悲愤的泪水,诉说了日本军国主义者杀害她丈夫的经过。
她的丈夫原是村里的车夫,刚刚25岁。一天,从沈阳来了几个便衣特务,问他是什么人,为什么来这里?就把他抓走了。吊在大树上,用棍棒把他打成半死状态,当时右大腿被打断,最后关进了南小门监狱。在狱中,把打断的腿用铁丝绑上,“按原样接上”。这种用铁丝连接断骨的手术,在世界上是从未有过的。
由于用铁丝绑着骨头,细菌侵入骨内,感染成骨髓炎,整年往外流脓,其痛苦是难以想象的。佟报功在极度痛苦之中得了严重的肺结核。